Land Adjacent To Thousands Of Acres Of Public Land On Jackson/ Brown County Line

FOR SALE

County

Jackson County

Acreage

50 ±

Price

$325,000

FOR SALE

County

Jackson County

Acreage

50 ±

Price

$325,000

Address

7000 West County Road 1150 North
Freetown, IN 47235
View on Google Maps

Description

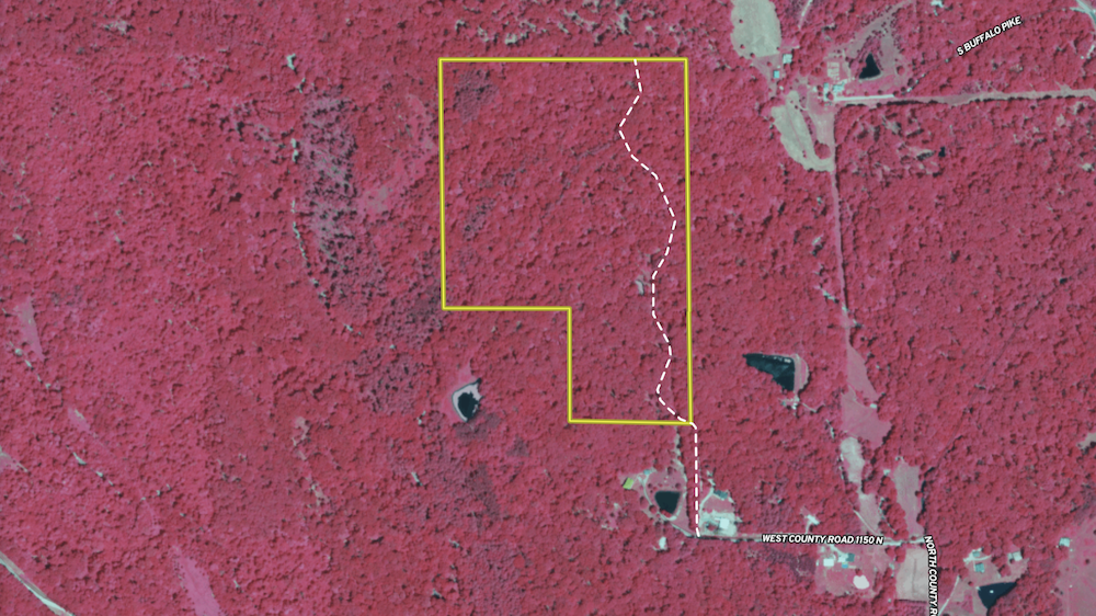
This wooded property is located in the hills along the Jackson/Brown County line in a low-traffic, rural setting. The tract sits at the end of a dead-end road, resulting in minimal vehicle traffic and a secluded feel.

The land is primarily wooded with mature hardwoods and rolling to hilly terrain typical of this area. There is noted timber value on the property, along with long open views through portions of the hillsides. A small pond is located on the tract and may offer potential for expansion.

One of the defining features of this property is its adjacency to the Hoosier National Forest. More than 700 acres of public forest land lie between this parcel and the next public roadway, providing extensive access to publicly managed ground. The Hoosier National Forest encompasses thousands of acres in this region and is renowned for its mature hardwood forests and diverse recreational opportunities, including hiking, hunting, and wildlife observation. This adjacency significantly extends usable recreational acreage without ownership or maintenance responsibilities.

The property was formerly used as a full-time residence, though it has not been occupied in several years. Access is provided by an easement that historically served as the driveway when the residence was occupied. The surveyor is working on marking the easement for clarity. Buyers should confirm utility availability and capacity if future building is contemplated.

While the property offers a secluded setting, State Road 135 is located nearby, providing convenient north-south travel. This allows reasonable access to nearby communities, including Brownstown, Seymour, and Columbus. The combination of timbered acreage, utility access, public land adjacency, and location makes this tract suitable for recreational use, land investment, or potential future residential use.

Property Listing

Type

Recreational Land, Residential Land, Timberland, Hunting Land

Road Frontage

County Road

Road Surface

Gravel


Media

Other Property Details

Land Details

  • Timber
  • Pond

Utilities

  • electric: nearby
  • water: nearby

Features/Improvements

  • Small Game
  • Big Game
  • Upland Game
  • Predators
  • Fish
  • Trail Network
  • Seller's Mineral Rights Convey

Coordinates

39.0465, -86.1888

Annual Taxes

$215


Legal

The information contained herein is deemed reliable but is not warranted or guaranteed by the Broker, its Agents, or the Seller. Access to property, access to utilities, or any measurements including but not limited to, acreage, square footage, frontage, and mapping boundary lines shared herein has not been independently verified and is for purposes of marketing only. If exact measurements, access to property, or access to utilities is a concern, the property should be independently measured or investigated by the prospective buyer.

COOPERATING BROKER COMPENSATION: Please contact Listing Agent/Broker for terms of cooperating Buyer Broker compensation. Terms of compensation, if any, shall be ascertained by cooperating brokers before beginning efforts to accept the offer of cooperation. Buyer’s Agents/Brokers must be identified, by Buyers and/or their Brokers/Agents, on the first contact with Listing Broker/Agents to receive compensation. Otherwise, compensation will be at the sole discretion of the Seller, Broker, and Whitetail Properties Real Estate, LLC.

Real Estate Commissions and Cooperating Broker Compensation, if any, are fully negotiable and is not fixed or controlled by law, by Whitetail Properties Real Estate, LLC (or any division/trade name/DBA of), or its Agents/Brokers.


Nearby Related Properties


For sale
$325,000 50 acres ±
Jackson County • Freetown, IN 47235
For sale
$399,000 39 acres ±
Jackson County • Medora, IN 47260
For sale
$260,000 20 acres ±
Jackson County • Medora, IN 47260
For sale
$140,000 19 acres ±
Jackson County • Medora, IN 47260
For sale
$360,000 78.58 acres ±
Jackson County • Medora, IN 47260
For sale
$999,900 130 acres ±
Monroe County • Unionville, IN 47468
For sale
$499,900 60 acres ±
Monroe County • Bloomington, IN 47408
For sale
$229,900 24.23 acres ±
Monroe County • Bloomington, IN 47408
Listing Agent

Brad Garrison

Be Part of a Thriving Land Community!

Get the same expert advice, property strategies, and land management tips that thousands of landowners trust. Subscribe now and stay ahead in the market.