Vacant Land For Hunting, Building, Camping, Or RV Near Vevay Indiana - Plum Creek

FOR SALE

County

Switzerland County

Acreage

16.86 ±

Price

$159,000

FOR SALE

County

Switzerland County

Acreage

16.86 ±

Price

$159,000

Address

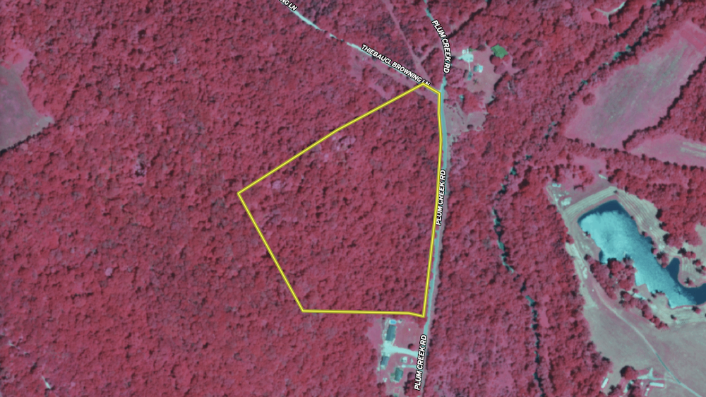
5635 Plum Creek
Vevay, IN 47043
View on Google Maps

Description

This wooded tract offers a great opportunity for a future home site near Vevay and the Ohio River, small-acreage hunting, or general recreation, storage, and investment.

Located only a quarter mile north of State Road 156, also known as the Ohio River Scenic Byway, the property combines seclusion with convenient access to town. Vevay's shopping, dining, and schools are just minutes away, while Belterra Casino and Resort and two nearby golf courses add to the area's amenities and recreational options.

A newly constructed driveway rises above the roadway and leads into a cleared area suitable for campers, RVs, or equipment storage. The topography lends itself well to a hilltop home or cabin, with potential for views of the surrounding fields and even the Ohio River. The property offers approximately 1,200 feet of total road frontage, with access points along both Plum Creek Road and Thiebaucl Browning Lane. Electric service is available along the road, and Patriot Water has indicated plans to extend water service in the near future.

This infrastructure improvement enhances the property's potential for residential or recreational development. The parcel is primarily wooded, featuring a mix of mature oak, maple, osage orange, and pawpaw trees, along with areas of early successional growth that provide valuable wildlife habitat. Deer activity is well-documented on this property, with multiple cameras capturing frequent daylight movement from mature bucks. The natural terrain, timber diversity, and vegetation offer ideal conditions for bedding, feeding, and travel corridors, making it suitable for small-acreage hunting or wildlife observation.

With convenient access, strong wildlife presence, and expanding utility options, this tract presents a versatile opportunity for those seeking hunting land, a recreational retreat, or a future build site near the Ohio River.

Property Listing

Type

Recreational Land, Residential Land, Undeveloped Land, Hunting Land

Road Frontage

County Road

Road Surface

Blacktop/Asphalt


Media

Other Property Details

Land Details

  • Timber

Features/Improvements

  • Small Game
  • Big Game
  • Predators
  • Seller's Mineral Rights Convey

Coordinates

38.7678, -85.0425

Annual Taxes

$100


Legal

The information contained herein is deemed reliable but is not warranted or guaranteed by the Broker, its Agents, or the Seller. Access to property, access to utilities, or any measurements including but not limited to, acreage, square footage, frontage, and mapping boundary lines shared herein has not been independently verified and is for purposes of marketing only. If exact measurements, access to property, or access to utilities is a concern, the property should be independently measured or investigated by the prospective buyer.

COOPERATING BROKER COMPENSATION: Please contact Listing Agent/Broker for terms of cooperating Buyer Broker compensation. Terms of compensation, if any, shall be ascertained by cooperating brokers before beginning efforts to accept the offer of cooperation. Buyer’s Agents/Brokers must be identified, by Buyers and/or their Brokers/Agents, on the first contact with Listing Broker/Agents to receive compensation. Otherwise, compensation will be at the sole discretion of the Seller, Broker, and Whitetail Properties Real Estate, LLC.

Real Estate Commissions and Cooperating Broker Compensation, if any, are fully negotiable and is not fixed or controlled by law, by Whitetail Properties Real Estate, LLC (or any division/trade name/DBA of), or its Agents/Brokers.


Nearby Related Properties


For sale
$159,000 16.86 acres ±
Switzerland County • Vevay, IN 47043
For sale
$274,000 61.06 acres ±
Switzerland County • Vevay, IN 47043
For sale
$1,250,000 86.04 acres ±
Switzerland County • Vevay, IN 47043
For sale
$110,500 8.5 acres ±
Switzerland County • Bennington, IN 47011
For sale
$110,500 8.5 acres ±
Switzerland County • Bennington, IN 47011
For sale
$141,750 13.5 acres ±
Switzerland County • Bennington, IN 47011
For sale
$750,000 49.34 acres ±
Switzerland County • Bennington, IN 47011
For sale
$400,000 18 acres ±
Switzerland County • Bennington, IN 47011
Listing Agent

Brad Garrison

Be Part of a Thriving Land Community!

Get the same expert advice, property strategies, and land management tips that thousands of landowners trust. Subscribe now and stay ahead in the market.