33.32+/- Acre County Cabin With Views, Woods And Wildlife In Swain

FOR SALE

County

Allegany County

Acreage

33.32 ±

Price

$129,900

FOR SALE

County

Allegany County

Acreage

33.32 ±

Price

$129,900

Address

11230 State Route 70
Swain, NY 14884
View on Google Maps

Description

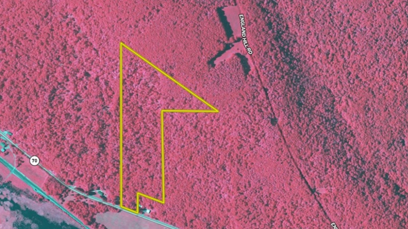
Nestled just northwest of Swain, NY, this scenic property offers a peaceful setting surrounded by mixed hardwoods and beautiful views overlooking wetlands and distant hillsides. Whether used as a recreational getaway or finished into a full-time residence, this property offers privacy, natural beauty, and easy access to outdoor adventure. The 24' x 24' cabin with an 8' x 24' covered porch is approximately 85% complete inside, with electric service already in place and kitchen cabinets on site, ready for installation. The layout includes two bedrooms and one bathroom, with some drywall or wall finishing needed to complete the interior. Adding a well and septic system would bring this cabin to full residential potential, or a great recreational or hunting cabin. Positioned on elevated ground above Route 70, the cabin's porch provides the perfect spot to enjoy morning coffee or summer iced tea while taking in tranquil views of wetlands and the rolling hills beyond. Enjoy the migration of ducks and geese in your front view. The land itself is nearly 100% mixed hardwood, featuring a healthy stand of oak providing mast crops for deer and turkey. A logging road runs through the property with several side trails ideal for strategic hunting stand placement. With 230 feet of frontage, a private driveway, and borders both state and municipal property, this property offers outstanding recreation opportunities right out the back door. Close to the Swain Ski Resort and surrounded by Western New York's four-season beauty, this is the perfect cabin retreat for hunters, outdoor enthusiasts, or anyone seeking a quiet escape. ADDITIONAL INFORMATION: Timber and GMO rights convey. Metal roof, Board and Batton, Covered porch, State land, Deer hunting, Turkey hunting, 7.6 miles to Swain and Swain Ski Resort, 13.6 miles to Hornell, 4.6 miles to Canaseraga. 7.6 miles to Nunda. Taxes ($2,102 - 2025). Buyer's agent must be present on all showings. Do not send clients out without accompanying them. Disclaimer:. Map illustrations are for reference purposes only and not the representations of the Listing agent or brokerage Whitetail Properties Real Estate LLC. Illustrations are provided by Land ID. Parties should be advised to confirm Illustrations with licensed professional service providers.

Property Listing

Type

Recreational Land, Hunting Land


Media

Other Property Details

Features/Improvements

  • Small Game
  • Big Game
  • Upland Game
  • Seller's Mineral Rights Convey

Coordinates

42.48778, -77.86198

Annual Taxes

$2,102


Legal

The information contained herein is deemed reliable but is not warranted or guaranteed by the Broker, its Agents, or the Seller. Access to property, access to utilities, or any measurements including but not limited to, acreage, square footage, frontage, and mapping boundary lines shared herein has not been independently verified and is for purposes of marketing only. If exact measurements, access to property, or access to utilities is a concern, the property should be independently measured or investigated by the prospective buyer.

COOPERATING BROKER COMPENSATION: Please contact Listing Agent/Broker for terms of cooperating Buyer Broker compensation. Terms of compensation, if any, shall be ascertained by cooperating brokers before beginning efforts to accept the offer of cooperation. Buyer’s Agents/Brokers must be identified, by Buyers and/or their Brokers/Agents, on the first contact with Listing Broker/Agents to receive compensation. Otherwise, compensation will be at the sole discretion of the Seller, Broker, and Whitetail Properties Real Estate, LLC.

Real Estate Commissions and Cooperating Broker Compensation, if any, are fully negotiable and is not fixed or controlled by law, by Whitetail Properties Real Estate, LLC (or any division/trade name/DBA of), or its Agents/Brokers.


Nearby Related Properties


For sale
$129,900 33.32 acres ±
Allegany County • Swain, NY 14884
For sale
$38,400 7.5 acres ±
Allegany County • Arkport, NY 14807
For sale
$35,900 10 acres ±
Allegany County • Almond, NY 14804
For sale
$34,900 4.8 acres ±
Steuben • Hornell, NY 14843
For sale
$2,250,000 225 acres ±
Steuben • Hornell, NY 14843
For sale
$44,900 5.25 acres ±
Allegany County • Andover, NY 14806
For sale
$44,900 5.25 acres ±
Allegany County • Andover, NY 14806
For sale
$44,900 5.25 acres ±
Allegany County • Andover, NY 14806
Listing Agent

Paul Vaicunas

Be Part of a Thriving Land Community!

Get the same expert advice, property strategies, and land management tips that thousands of landowners trust. Subscribe now and stay ahead in the market.