Country Home With Pond, Hunting Land And State Forest Access

New FOR SALE

County

Cattaraugus County

Acreage

23 ±

Price

$399,900

New

County

Cattaraugus County

Acreage

23 ±

Price

$399,900

Address

12483 Sawmill Run Rd
Frewsburg, NY 14738
View on Google Maps

Description

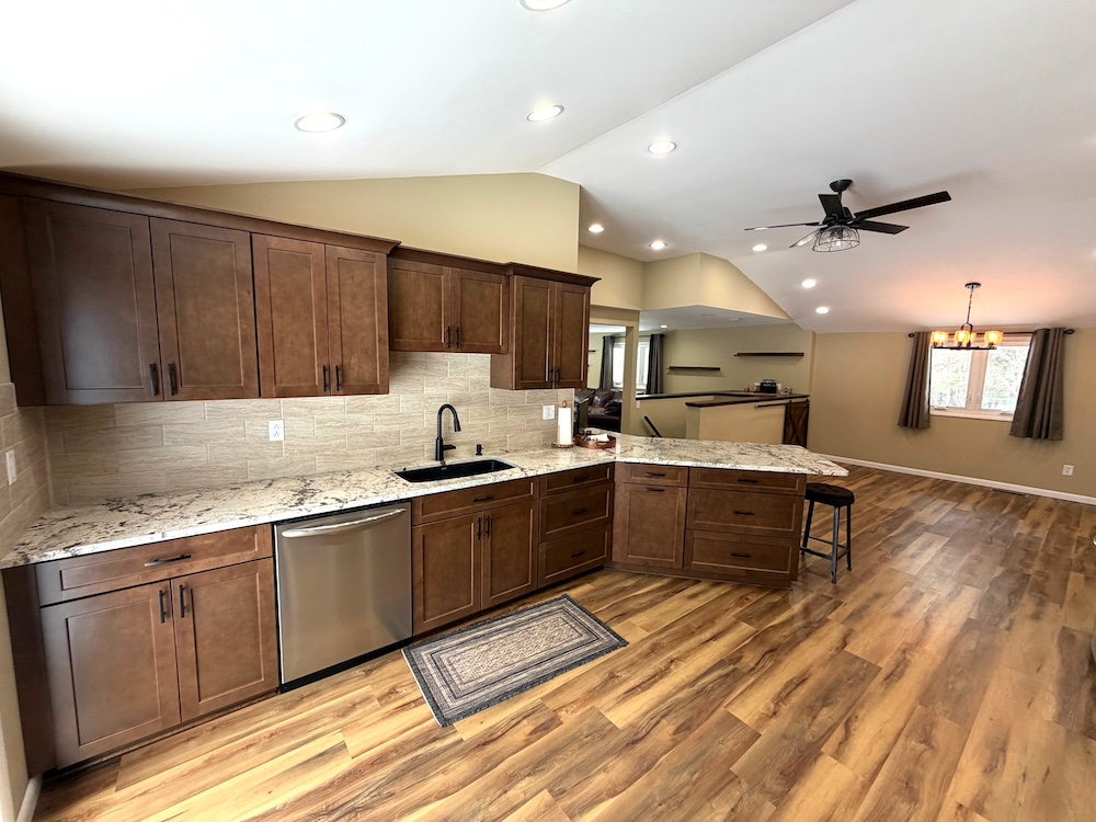
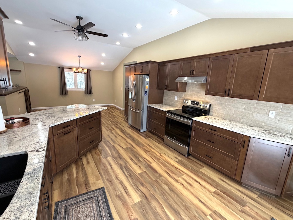
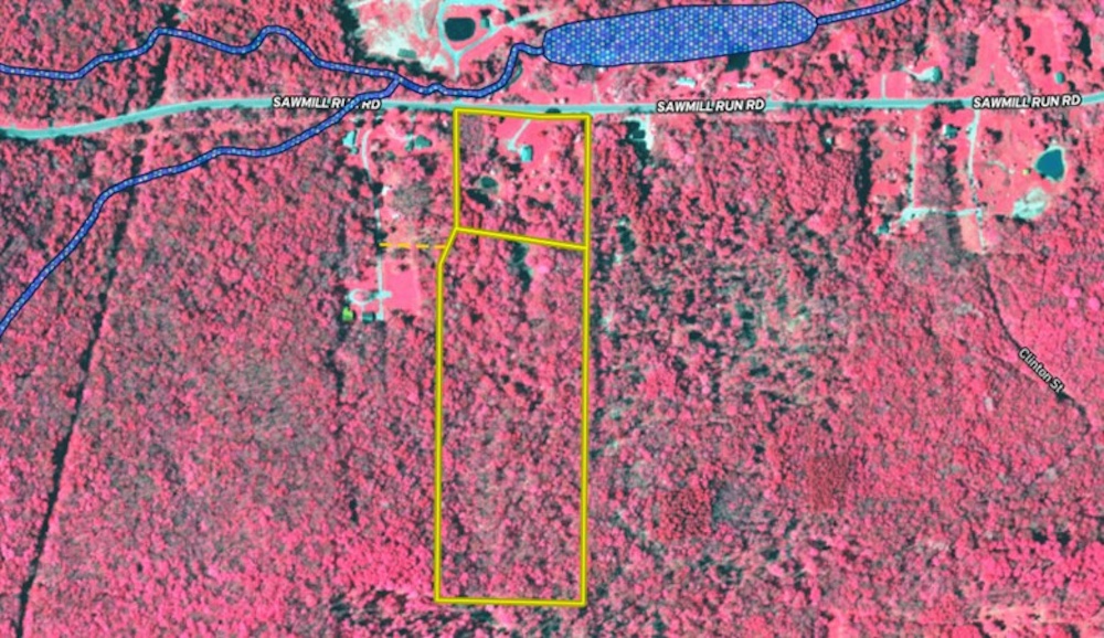
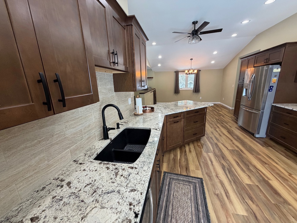
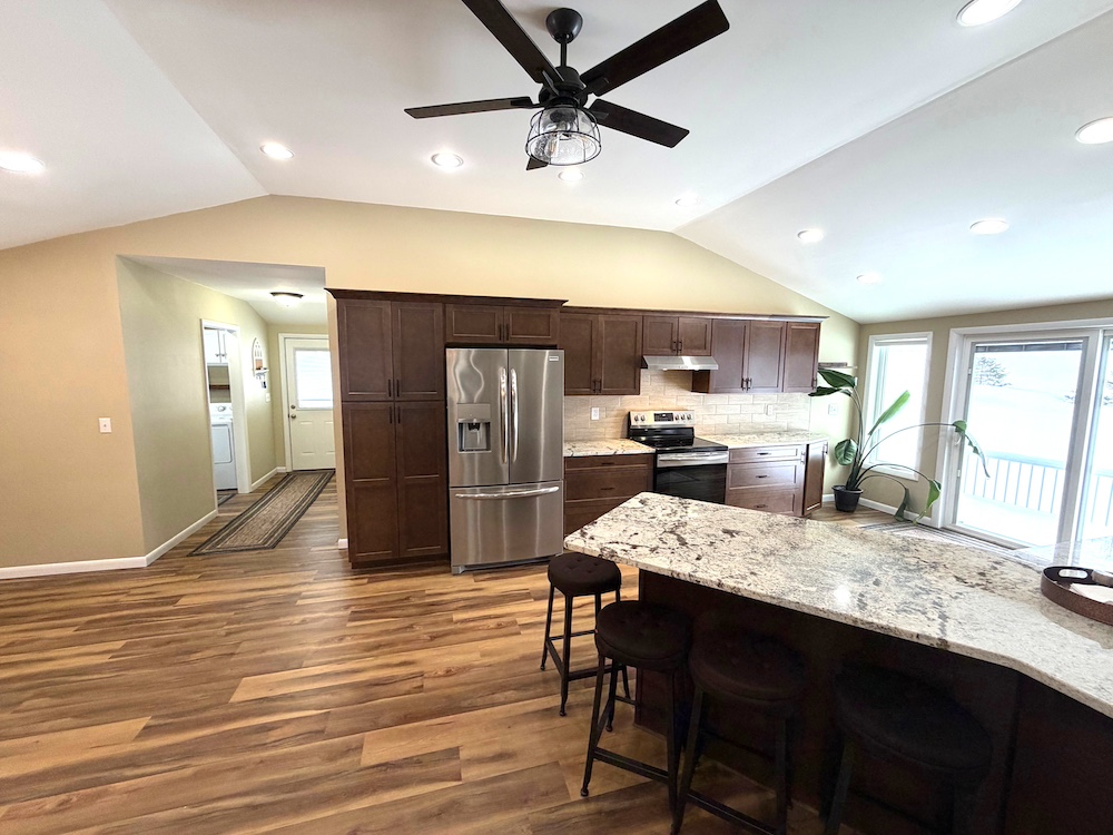
We are pleased to present a true Cattaraugus County country living gem, offering privacy, recreation and a move-in-ready home set in a peaceful rural setting. Comprised of two parcels, this expansive property provides exceptional outdoor opportunity right out your back door, making it especially attractive to hunters, nature lovers and those seeking a quieter lifestyle. A long, private driveway leads to the home, which is elevated on a hillside and complemented by an even higher pond offering scenic northern views. The wooded acreage consists primarily of mixed hardwoods and hemlock, with a food plot already in place, ideal for deer hunting and wildlife observation. The 1,740 sq ft home was originally built in 1971 and completely reconstructed and updated in 2020, creating a worry-free primary residence or country retreat. Inside, the 2-bedroom, 2-bathroom layout features LVP and carpet flooring, granite countertops, well appointed stainless steel appliances, elevated ceilings, recessed and fan lighting and modern finishes throughout. Major improvements include a new well, septic system, windows, roof, Trex deck, on-demand water heater, LP forced-air furnace, central A/C and spray foam insulation, offering comfort and efficiency year-round. Outdoor living is enhanced by covered porches and decks, with additional storage provided by a utility shed. With approximately 503 feet of road frontage, a large and deep parcel and close proximity to the Town of Frewsburg, this property balances seclusion with convenience. Located just minutes from the Allegany Reservoir and the Onoville Marina, boating and fishing are easily accessible. An additional 4,227 acres of South Valley State Forest is less than a quarter mile from your door. Whether you’re looking to relocate, work remotely, enjoy hunting and recreation, or simply relax in the quiet hills of Cattaraugus County, this property delivers the complete country lifestyle experience. ADDITIONAL INFORMATION: Timber and GMO rights convey, Pond, NEW Remodeled updates. 3.24 miles to Allegany Reservoir, 7.4 miles to Frewsburg, 2.5 miles to PA Line, .10 miles to South Valley State land, Taxes $2,286 (2025) Buyer agent must be present on all showings. Do not send clients out without accompanying them. Disclaimer: Map illustrations are for reference purposes only and not the representations of the Listing agent or brokerage. Illustrations are provided by Land ID. Parties should be advised to confirm Illustrations with licensed professional service providers.

Property Listing

Type

Residential Land

Outbuildings

Garage


Media

Other Property Details

Utilities

  • electric: onsite
  • water: onsite
  • propane: onsite

Features/Improvements

  • Small Game
  • Big Game
  • Food Plot
  • Seller's Mineral Rights Convey

Coordinates

42.04055, -79.029

Annual Taxes

$2,288


Legal

The information contained herein is deemed reliable but is not warranted or guaranteed by the Broker, its Agents, or the Seller. Access to property, access to utilities, or any measurements including but not limited to, acreage, square footage, frontage, and mapping boundary lines shared herein has not been independently verified and is for purposes of marketing only. If exact measurements, access to property, or access to utilities is a concern, the property should be independently measured or investigated by the prospective buyer.

COOPERATING BROKER COMPENSATION: Please contact Listing Agent/Broker for terms of cooperating Buyer Broker compensation. Terms of compensation, if any, shall be ascertained by cooperating brokers before beginning efforts to accept the offer of cooperation. Buyer’s Agents/Brokers must be identified, by Buyers and/or their Brokers/Agents, on the first contact with Listing Broker/Agents to receive compensation. Otherwise, compensation will be at the sole discretion of the Seller, Broker, and Whitetail Properties Real Estate, LLC.

Real Estate Commissions and Cooperating Broker Compensation, if any, are fully negotiable and is not fixed or controlled by law, by Whitetail Properties Real Estate, LLC (or any division/trade name/DBA of), or its Agents/Brokers.


Nearby Related Properties


New
$399,900 23 acres ±
Cattaraugus County • Frewsburg, NY 14738
For sale
$219,900 76.05 acres ±
Cattaraugus County • Randolph, NY 14772
New
$99,900 20 acres ±
Chautauqua County • Conewango Valley, NY 14726
New
$19,900 0.85 acres ±
Chautauqua County • Sinclairville, NY 14782
For sale
$99,000 24 acres ±
Warren County • Youngsville, PA 16371
For sale
$390,000 26.02 acres ±
Warren County • Youngsville, PA 16371
For sale
$724,900 143.5 acres ±
Chautauqua County • Cherry Creek, NY 14723
For sale
$100,000 20.5 acres ±
Warren County • Youngsville, PA 16371
Listing Agent

Paul Vaicunas

Be Part of a Thriving Land Community!

Get the same expert advice, property strategies, and land management tips that thousands of landowners trust. Subscribe now and stay ahead in the market.