Private Hunting Land With Food Plots In Eden

New FOR SALE

County

Erie County

Acreage

25.67 ±

Price

$169,900

New

County

Erie County

Acreage

25.67 ±

Price

$169,900

Address

V/L New Jerusalem Road Lot#WP001
Eden, NY 14057
View on Google Maps

Description

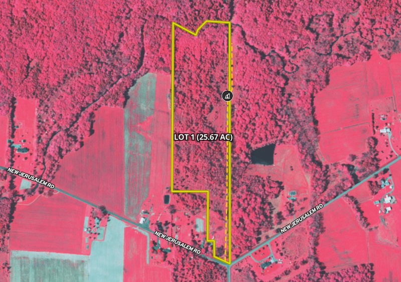
Discover a hidden gem of a hunting property perfectly situated between Eden, Evans, North Collins, and Angola—an ideal spot offering both convenient access and exceptional whitetail opportunities. This is where trophy dreams meet total privacy. With a long history of producing mature, 150-class bucks, this property has been a family treasure for generations. Thanks to a single point of access, hunters have enjoyed unmatched seclusion and quiet during their hunts—rarely interrupted and full of success. The land is thoughtfully designed for wildlife: established food plots and a large agricultural field along the western boundary provide abundant food sources, complemented by natural browse throughout the property. The diverse mix of forest—including early successional growth—creates ideal bedding and security cover for deer. During the agent’s tour, signs of heavy deer activity were unmistakable, with countless tracks and rubs confirming the property’s thriving whitetail population. Additionally, a gas well on-site provides clear road access into the parcel. Whether you’re seeking your next trophy, a weekend escape, or a legacy hunting retreat, this property embodies the very best of rural Western New York’s whitetail country. ADDITIONAL INFORMATION: Timber and GMO rights convey, 2.5 miles to Eden, 4.1 miles to Angola, 7.4 miles to North Collins, 7.3 miles to Hamburg. Taxes TBD post-subdivision, subdivision based on town approval. Buyer agent must be present on all showings. Do not send clients out without accompanying them. Disclaimer: Map illustrations are for reference purposes only and not the representations of the Listing agent or brokerage. Illustrations are provided by Land ID. Parties should be advised to confirm Illustrations with licensed professional service providers.

Property Listing

Type

Recreational Land, Undeveloped Land, Hunting Land


Media

Other Property Details

Features/Improvements

  • Small Game
  • Big Game
  • Food Plot
  • Seller's Mineral Rights Convey

Coordinates

42.63825, -78.9444

Annual Taxes

$0


Legal

The information contained herein is deemed reliable but is not warranted or guaranteed by the Broker, its Agents, or the Seller. Access to property, access to utilities, or any measurements including but not limited to, acreage, square footage, frontage, and mapping boundary lines shared herein has not been independently verified and is for purposes of marketing only. If exact measurements, access to property, or access to utilities is a concern, the property should be independently measured or investigated by the prospective buyer.

COOPERATING BROKER COMPENSATION: Please contact Listing Agent/Broker for terms of cooperating Buyer Broker compensation. Terms of compensation, if any, shall be ascertained by cooperating brokers before beginning efforts to accept the offer of cooperation. Buyer’s Agents/Brokers must be identified, by Buyers and/or their Brokers/Agents, on the first contact with Listing Broker/Agents to receive compensation. Otherwise, compensation will be at the sole discretion of the Seller, Broker, and Whitetail Properties Real Estate, LLC.

Real Estate Commissions and Cooperating Broker Compensation, if any, are fully negotiable and is not fixed or controlled by law, by Whitetail Properties Real Estate, LLC (or any division/trade name/DBA of), or its Agents/Brokers.


Nearby Related Properties


New
$169,900 25.67 acres ±
Erie County • Eden, NY 14057
New
$89,900 7.7 acres ±
Erie County • Eden, NY 14057
New
$79,900 6.8 acres ±
Erie County • Eden, NY 14057
New
$249,900 23.3 acres ±
Erie County • Eden, NY 14057
For sale
$89,900 17.06 acres ±
Erie County • Collins, NY 14034
For sale
$539,900 40 acres ±
Chautauqua County • Forestville, NY 14062
For sale
$85,000 0.48 acres ±
Cattaraugus County • Cattaraugus, NY 14719
For sale
$724,900 143.5 acres ±
Chautauqua County • Cherry Creek, NY 14723
Listing Agent

Paul Vaicunas

Be Part of a Thriving Land Community!

Get the same expert advice, property strategies, and land management tips that thousands of landowners trust. Subscribe now and stay ahead in the market.