Serious Whitetail Hunting Property With Miles Of Trails And Food Plots
New FOR SALE
County
Jefferson CountyAcreage
117.71 ±Price
$679,900New
County
Jefferson CountyAcreage
117.71 ±Price
$679,900Address
6400 East Prong Road
Madison, IN 47250
View on Google Maps
Description
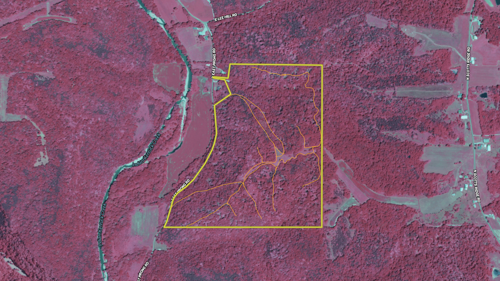
Finding a well-manicured recreational property is rare, but this is truly an ideal setup for serious whitetail hunting. Recently revitalized with hundreds of hours of labor and planning, this beautifully maintained hunting and outdoor paradise is ready for immediate use. Located in a highly desirable area, the property features over two miles of freshly cut and well-maintained trails, approximately half a mile of paved road frontage, and a newly constructed gravel entrance that leads directly to a spacious 60’ x 40’ pole barn—perfect for storing equipment, ATVs, and gear. Directly behind the barn sits a lush clover food plot with a well-placed deer blind, offering an ideal setup for youth hunters or those seeking minimal travel from the entrance. Further up the property, a larger, T-shaped field has been planted in corn and soybeans, complete with a central watering hole and trails extending in multiple directions for strategic access. A second clover plot lies just downhill, also connected to a network of trails—one of which runs all the way to the southern road frontage, offering easy entry from both the north and south ends. The land features a diverse blend of rolling topography and timber, including a mature stand affectionately known as “The Oak Grove,” which has remained untouched by timber harvests. Wildlife is abundant, and the habitat is ideal for deer, turkey, and small game. All trails are wide enough to accommodate large side-by-sides and ATVs, making it perfect for hunters and hikers, nature lovers, off-road enthusiasts, and mountain bikers. Located near Madison, Vevay, and Versailles, the property is within easy reach of restaurants, lodging, and amenities. It also lies close to several outdoor destinations, including Versailles State Park, Clifty Falls, Splinter Ridge FWA, and Big Oaks National Wildlife Refuge. This one is ready to enjoy—no prep required.
Property Listing
Type
Recreational Land, Timberland, Hunting Land
Road Frontage
County Road
Media



















































































































Other Property Details
Land Details
- Pasture
- Timber
- Tillable
Coordinates
38.83, -85.253
Annual Taxes
$500
Legal
The information contained herein is deemed reliable but is not warranted or guaranteed by the Broker, its Agents, or the Seller. Access to property, access to utilities, or any measurements including but not limited to, acreage, square footage, frontage, and mapping boundary lines shared herein has not been independently verified and is for purposes of marketing only. If exact measurements, access to property, or access to utilities is a concern, the property should be independently measured or investigated by the prospective buyer.
COOPERATING BROKER COMPENSATION: Please contact Listing Agent/Broker for terms of cooperating Buyer Broker compensation. Terms of compensation, if any, shall be ascertained by cooperating brokers before beginning efforts to accept the offer of cooperation. Buyer’s Agents/Brokers must be identified, by Buyers and/or their Brokers/Agents, on the first contact with Listing Broker/Agents to receive compensation. Otherwise, compensation will be at the sole discretion of the Seller, Broker, and Whitetail Properties Real Estate, LLC.
Real Estate Commissions and Cooperating Broker Compensation, if any, are fully negotiable and is not fixed or controlled by law, by Whitetail Properties Real Estate, LLC (or any division/trade name/DBA of), or its Agents/Brokers.