San Augustine 40 AC Hilltop Farm

FOR SALE

County

San Augustine County

Acreage

40 ±

Price

$247,140

FOR SALE

County

San Augustine County

Acreage

40 ±

Price

$247,140

Address

TBD SH 21
San Augustine, TX 75972
View on Google Maps

Description

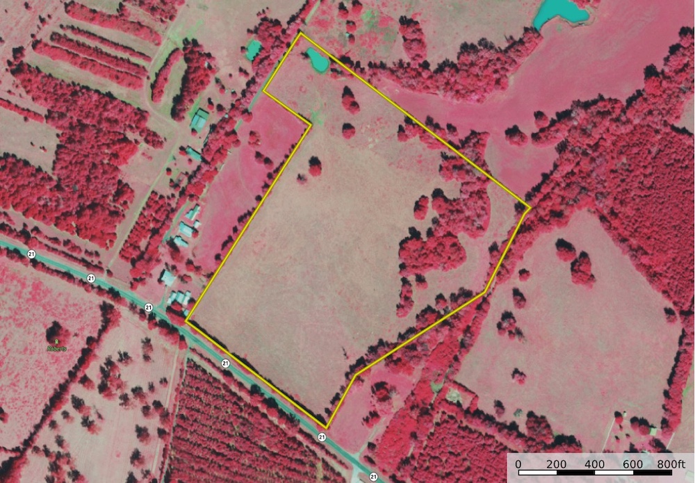
San Augustine Hilltop Farm! 41 +/- acres in San Augustine, Texas, with approximately 900 ft of frontage on SH 21. Located about 2.5 hours from downtown Houston, the property offers convenient access while maintaining a peaceful, country setting.

The farm features over 40 ft of elevation change, with multiple hilltop build sites providing long-range views. The land is mostly cleared and well-maintained, with pockets of timber that add cover, diversity, and privacy. The property is perimeter-fenced, allowing for immediate grazing of horses and cattle.

A pond is located in the NW corner of the property, providing a water source for cattle, deer, and other native wildlife that call this place home. The farm is currently leased for grazing/hay and provides income.

This hilltop farm is well-suited for agricultural use, a homesite, or a combination ranch property. Located only 1.25 miles from Sabine National Forest with great deer genetics, and only 21 miles to the nearest boat ramp on Toledo Bend, this place is SET UP to be a recreational hotspot! Tracts like this one do not hit the market often! Call today for a private tour and see why this farm is so special.

Property Listing

Type

Farms, Ranches, Recreational Land, Residential Land, Undeveloped Land, Hunting Land, Horse Property

Road Frontage

State Highway

Road Surface

Blacktop/Asphalt


Media

Other Property Details

Land Details

  • Pasture
  • Grass
  • Hay
  • Pond

Features/Improvements

  • Small Game
  • Big Game
  • Predators
  • Fish
  • Trail Network
  • Gated Entrance
  • Surface Only

Coordinates

31.5102, -94.0405

Annual Taxes

$0


Legal

The information contained herein is deemed reliable but is not warranted or guaranteed by the Broker, its Agents, or the Seller. Access to property, access to utilities, or any measurements including but not limited to, acreage, square footage, frontage, and mapping boundary lines shared herein has not been independently verified and is for purposes of marketing only. If exact measurements, access to property, or access to utilities is a concern, the property should be independently measured or investigated by the prospective buyer.

COOPERATING BROKER COMPENSATION: Please contact Listing Agent/Broker for terms of cooperating Buyer Broker compensation. Terms of compensation, if any, shall be ascertained by cooperating brokers before beginning efforts to accept the offer of cooperation. Buyer’s Agents/Brokers must be identified, by Buyers and/or their Brokers/Agents, on the first contact with Listing Broker/Agents to receive compensation. Otherwise, compensation will be at the sole discretion of the Seller, Broker, and Whitetail Properties Real Estate, LLC.

Real Estate Commissions and Cooperating Broker Compensation, if any, are fully negotiable and is not fixed or controlled by law, by Whitetail Properties Real Estate, LLC (or any division/trade name/DBA of), or its Agents/Brokers.


Nearby Related Properties


For sale
$247,140 40 acres ±
San Augustine County • San Augustine, TX 75972
For sale
$730,000 100 acres ±
Shelby County • Center, TX 75935
For sale
$425,000 86.5 acres ±
Shelby County • Center, TX 75935
New
$975,000 88.84 acres ±
Shelby County • Center, TX 75935
For sale
$265,000 53.5 acres ±
Shelby County • Center, TX 75935
For sale
$84,500 16 acres ±
Newton County • Burkeville, TX 75932
For sale
$2,850,000 72.93 acres ±
Nacogdoches County • Nacogdoches, TX 75963
For sale
$994,170 186 acres ±
Jasper County • Jasper, TX 75951

Be Part of a Thriving Land Community!

Get the same expert advice, property strategies, and land management tips that thousands of landowners trust. Subscribe now and stay ahead in the market.